法拍大安區公寓
07-7963288
客服電話
申請房仲網站
首頁
買房屋
買土地
買法拍屋
廠房租售
房屋仲介
社區建案
委託買賣
關鍵字
現在位置:
首頁
›
買法拍屋
›
台北市法拍公寓
›
大安區法拍公寓
›
法拍大安區公寓-台北市大安區潮州街31號2樓
最後更新:6小時內
檢舉案件不實
│
列印
│
物件留言
|
觀看地圖
法拍大安區公寓
法拍大安區公寓
房屋資料
案名
金華.永康商圈*捷運*低樓層方正雅寓~流標
案號
地址
台北市大安區
潮州街31號2樓
銷售狀態
待標中
售價
售2172萬
房屋類型
法拍公寓
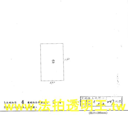
總登記坪數
22.62 坪
格局
3房, 2廳, 2衛, 0陽台, 1廚房
屋齡
50年以上
每坪單價
96.02萬/坪
公設比
車位
座向
無障礙環境
法拍屋
本物件是法拍屋
拍次 : 預估二拍(1738)
開標日期 : 二拍約115年1月底
建物所在樓層
2樓/共4層
管理費
管委會
中庭
電梯
沒有
是否為凶宅
300公尺內嫌惡設施
面前道路
面寬
縱深
邊間
房屋銷售來源
不動產經紀人/專業仲介
房屋特色
(1/07)一拍價2172萬/@96萬~流標!
預估二拍價約1738萬/@76.83萬
本物件坐落於潮州街31號2樓
鄰近杭州南路二段與金華街巷口...
前後採光.與後棟棟距約3米
近古亭捷運站、勤通便利、增值最佳!!!
師大夜市、永康商圈、增加生活機能性
步行6-8分鐘即達捷運古亭站
有多線公車站.交通四通八達!!!
坪數說明
建物登記總坪數
22.62
土地登記總坪數
8.02
主建物坪數
22.62
停車位坪數
附屬建物坪數
公共設施坪數
增建坪數
地下室坪數
周邊環境
生活機能
鄰近交通
鄰近地標
公園綠地
鄰近學區
捷運站
古亭
房屋聯絡人資訊
聯絡人姓名
黃先生
(煩請告知聯絡人,您是在House-Info房屋網看到這則廣告,真摯感恩您的幫忙)
手機
0978-813-259
Line加入好友
所屬公司名稱
金石房屋資產有限公司
公司電話
0978-813259
公司傳真
公司地址
台北市大同區
網 址
http://www.法拍透明王.tw
贊助商廣告
大安區法拍公寓-1
大安區法拍公寓-2
大安區法拍公寓-3
大安區法拍公寓-4
大安區法拍公寓-5
大安區法拍公寓-6
大安區法拍公寓-7
觀看地圖
到Google查看地圖
到Google查看街景
法拍大安區公寓-台北市大安區潮州街31號2樓-公寓
物件留言
請注意,如果您詢問的內容與物件不相符合或是廣告,經過審核,系統將會直接刪除您的發問內容
檢舉物件不實
黃金曝光
南京東路五段251
公寓
45.83坪
售2587萬
南京東路五段251
公寓_西松國小學區 / 4房
45.83坪
售2587萬6000元
中山北路七段81巷
公寓
118.24坪
售7436萬
菁山路63號3樓
公寓_法拍公寓
73.83坪
售1979萬
相似物件
菁山路63號3樓
公寓
73.83坪
售1979萬
菁山路63號3樓
公寓
73.83坪
售1979萬
潮州街31號2樓
公寓 / 3房
22.62坪
售2172萬
天玉街8號5樓公寓
公寓_天母生活市集 / 4房
44.65坪
售2092萬
www.houseinfo.com.tw房屋網
免責聲明:本系統為租用式開放房屋買賣網站建置平台,僅提供會員查詢-
法拍大安區公寓
-
-等房屋資訊參考,並不涉入任何諮詢、交易。 物件(服務)聯絡人公佈的資訊、文字、照片、圖形、產權、廣告內容、或其他資料若有不實或違法情事,或與客戶聯絡交易過程中若衍生民事或刑事等法律問題,皆與本房屋網站無關,所有商標、文章、名稱等版權,皆歸屬原著作者所有! ●電話:07-7963288
大安區法拍華廈
│
大安區法拍電梯大廈
│
大安區法拍電梯大樓
│
大安區法拍大樓
│
大安區法拍大廈
│
大安區法拍電梯華廈
│
大安區法拍透天別墅
│
大安區法拍透天厝
│
大安區法拍公寓
│
大安區法拍店面
│
大安區法拍套房
│
大安區法拍廠房
│
大安區法拍辦公室
│
大安區法拍豪宅
│
大安區法拍樓中樓
│
大安區法拍農舍
│
大安區法拍廠辦
│
大安區法拍雅房
│
大安區法拍倉庫
│
大安區法拍工業廠房
│
大安區法拍透天
│
大安區法拍中古屋
│
大安區法拍別墅
│
大安區法拍電梯別墅
│
大安區法拍透天店面
│
大安區法拍屋
│
大安區法拍房屋
│
大安區法拍房子
請注意:此案件已下架
資料處理中,請稍後...